Свет
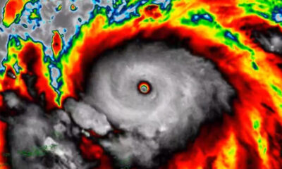
Остатоците од ураганот Ерин се движат кон Западна Европа, можни се бури и бранови до 12 метри

Западна Европа, Обединетото Кралство и Ирска се соочуваат со нестабилно време во текот на следните неколку дена, бидејќи остатоците од ураганот Ерин се приближуваат кон континентот.
Откако достигна јачина од категорија 5, Ерин се движеше кон Европа од источниот брег на Северна Америка како моќен посттропски циклон, а системот веќе предизвикува загриженост за можни силни бури на крајот од неделата, пишува Severe Weather Europe.
Остатоците од ураганот ќе останат силни во текот на понеделник и вторник, со центар западно од Ирска и Обединетото Кралство. Пред да пристигне циклонот, температурите во Обединетото Кралство би можеле да достигнат 30°C денес, но топлото време ќе биде краткотрајно. Дожд и ветер се очекуваат во текот на ноќта во вторник, прво во Ирска и Северна Ирска, а потоа и во остатокот од Кралството.
Ерин е првата бура од атлантската сезона во 2025 година што достигна јачина на ураган. Своето патување го започна како тропски бран на 9 август, а до 16 август се засили во бура од категорија 4. Кратко потоа, „ловците на урагани“ на NOAA објавија дека Ерин се засилила до бура од категорија 5, со ветрови од 260 км/ч и минимален централен притисок од 915 милибари. Таа јачина ја задржа поголемиот дел од денот, по што почна да слабее.
Се очекува времето да се влоши од средината на неделата со силни ветрови и обилни врнежи од дожд придружени со грмотевици. Иако најсилните ветрови претежно ќе останат на отворено море, високите бранови ќе го погодат западниот брег на Европа.
Денес, тие би можеле да достигнат висина од 10 до дури 12 метри западно од Ирска. Во средината на неделата, во среда и четврток, се очекуваат бранови од 8 до 10 метри по должината на бреговите на Ирска, Северна Ирска и делови од Шкотска, а ќе се прошират низ Бискајскиот Залив кон Франција и Шпанија.
©Makfax.com.mk Доколку преземете содржина од оваа страница, во целост сте се согласиле со нејзините Услови за користење.

Регион
Македонија ѝ понуди помош на Бугарија по катастрофалните поплави

Македонија е подготвена да обезбеди поддршка за справување со последиците од поплавите, објави претседателот на Бугарија, Румен Радев, на „Икс“, по телефонскиот разговор со македонската претседателка Гордана Сиљановска Давкова.
„Благодарност до претседателката Гордан Сиљановска Давкова за конструктивниот телефонски разговор и изразеното сочувство за жртвите од поплавите во Бугарија, како и за декларираната подготвеност на РСМ да обезбеди поддршка за справување со последиците од невремето“, напиша Радев.
Благодаря на президента Гордана Силяновска @gogamkd за конструктивния телефонен разговор и изразените съболезнования за жертвите при наводненията в България, както и за заявената готовност РСМ да окаже подкрепа за справяне с последиците от бедствието.
— President.bg (@PresidentOfBg) October 4, 2025
Бугарија се соочува со апокалиптични поплави. Снимките покажуваат како автомобилите се однесени од порои, а полицијата и жандармеријата се распоредени во критичните области.
Четвртата жртва од поплавите во реонот на туристичкото одморалиште Елените во Бугарија е откриена синоќа, изјави директорот на Регионалната дирекција на Министерството за внатрешни работи во Бургас, виш комесар Владимир Маринов.
БТА објави дека ситуацијата во одморалиштето Елените и поширокото подрачје на Бургас, во југоисточна Бугарија, полека се враќа во нормала.
Massive flooding due to heavy rainfall in Elenite, Burgas Province, Bulgaria 🇧🇬 pic.twitter.com/1w2cKP2lgA
— Disaster News (@Top_Disaster) October 3, 2025
Во невремето животот го загубија двајца спасувачи и еден граѓанин, кој во моментот на пристигнувањето на првиот голем бран се наоѓал во соба на приземјето од својата куќа.
Свет
Грета Тунберг изложена на суров третман во израелскиот притвор

Шведската активистка Грета Тунберг изјави дека била изложена на суров третман додека била во израелски притвор, откако израелските сили ја пресретнале хуманитарната флотила која носела помош за Газа и ги уапсиле членовите на екипажот.
Во е-писмо испратено од шведското Министерство за надворешни работи до луѓе блиски до Тунберг, а до кое имал пристап „Гардијан“, се наведува дека активистката била затворена во ќелија полна со креветни бубачки и со недоволно храна и вода.
Според очевидци, Тунберг се жалела дека била дехидрирана и дека не примала доволно храна и вода. Таа исто така пријавила дека развила осип, за кој смета дека е предизвикан од креветни бубачки.
Исто така, според сведочења од други членови на флотилата, израелските сили ја принудиле Тунберг да држи израелско знаме.
Турската активистка Ерсинчелик, која била сведок на настанот, изјавила дека Тунберг била влечена за коса, тепана и принудена да го бакне знамето. Според неа, ова било предупредување за другите активисти.
Новинарот Лоренцо Д’Агостино, исто така дел од флотилата, по враќањето во Истанбул ја опишал ситуацијата како „невозможно да се поверува“, бидејќи Тунберг била завиткана во израелско знаме и парадирала со него, што предизвикало гнев и неверица меѓу присутните.
Инаку, Тунберг е меѓу 437 активисти, пратеници, адвокати, кои беа дел од флотилата „Глобал Сумуд“, која се состоеше од повеќе од 40 бродови што носеа хуманитарна помош, чија цел беше да се пробие 16-годишната израелска поморска блокада на Газа.
Израелските сили ги пресретнаа сите бродови и ги уапсија сите членови на екипажот на бродот. Повеќето од нив се наоѓаат во Кезиот, познат и како Ансар III, затвор со висок степен на безбедност во пустината Негев, кој првенствено се користи за држење палестински затвореници, од кои многумина Израел ги обвинува за вмешаност во милитантни или терористички активности.
Свет
(Фото+видео) Масовен руски напад врз Украина, Полска подигна борбени авиони

Русија изврши серија напади врз Украина во текот на ноќта, при што беа убиени и повредени неколку лица. Полска распореди борбени авиони поради опасноста по својот воздушен простор, јавуваат локалните медиуми.
Украина објави дека во рускиот напад врз Запорожје едно лице било убиено, а шест други ранети, меѓу кои и 16-годишно девојче.
There are water and electricity outages in Zaporozhye after a combined attack by multiple drones and KAB bombs struck the city. pic.twitter.com/Tg3X5eUEYR
— Gabe (@GabeZZOZZ) October 5, 2025
Шефот на југоисточниот украински регион, Иван Федоров, објави дека во рускиот „комбиниран напад“ (напад со ракети и беспилотни летала) една жена била убиена, а шест други лица ранети. Според Федоров, лекарите им обезбедиле неопходна медицинска помош на повредените.
Во времето на нападот, во 4:09 часот по локално време, низ цела Украина била прогласена национална воздушна тревога.
🇷🇺🇺🇦 Large fire is burning in Lviv following Russian missiles and drones strikes.
In addition to reported strikes on Lviv, Zaporozhye, and Odessa. Russian strikes also took place in Kharkiv, Dnepropetrovsk, Ivano-Frankivsk, Rivne, and the Chernihiv regions. pic.twitter.com/WfpWQdvUgy
— Heyman_101 (@SU_57R) October 5, 2025
Полските вооружени сили објавија дека ставиле во готовност воздушна одбрана и распоредиле борбени авиони за заштита на својот воздушен простор, особено во близина на украинската граница.
Во последните денови, Русија ги интензивираше нападите врз енергетската инфраструктура на Украина, со оглед на намалените температури и приближувањето на зимата. Овој викенд, Москва го спроведе најголемиот напад досега на украинската гасна мрежа. Нападите во саботата предизвикаа прекин на снабдувањето со електрична енергија за околу 50.000 домаќинства во северниот регион Чернигов.
Another massive attack on the west of Ukraine. Missiles and drones.
Every night Ukraine stands between russia and Europe.
When Ukraine can’t – who will protect you? pic.twitter.com/feoWYvW8Hm— Tetїana 🇺🇦 (@TPSpindel) October 5, 2025
Во Лавовската област, најмалку две лица биле убиени, а две повредени во напад со руски дрон и ракета во текот на ноќта. Командата на украинските воздухопловни сили и системите за противвоздушна одбрана соопштија дека Киев и голем број други региони беа мета на воздушни напади од страна на Русија.
Покрај Киев, нападите ги погодија и следниве региони: Хмелницки, Деражња, Сатанив, Виницки регион, Вапњарка, Немиров, Жмеринка, Козјатин, Запорожје, Днепар, Одеса.